Ara
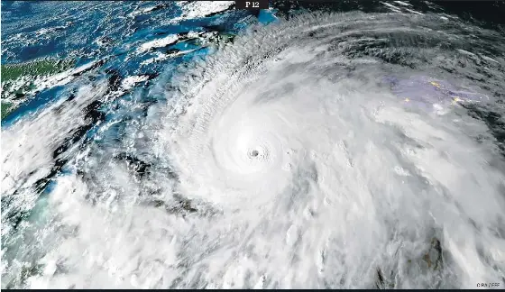
L’HURACÀ ‘MELISSA’, AMB VENTS DE 295 KM/H
1E
Ejemplar
0,99€
1M
1 Mes
23,99€
3M
3 Meses
-
6M
6 Meses
-
1A
1 Año
199,99€
Las tarifas que se muestran se aplican a las compras a través de la plataforma web de Kiosko y Más
